Boligfelt på Voksenkollen

Boligfelt på Voksenkollen
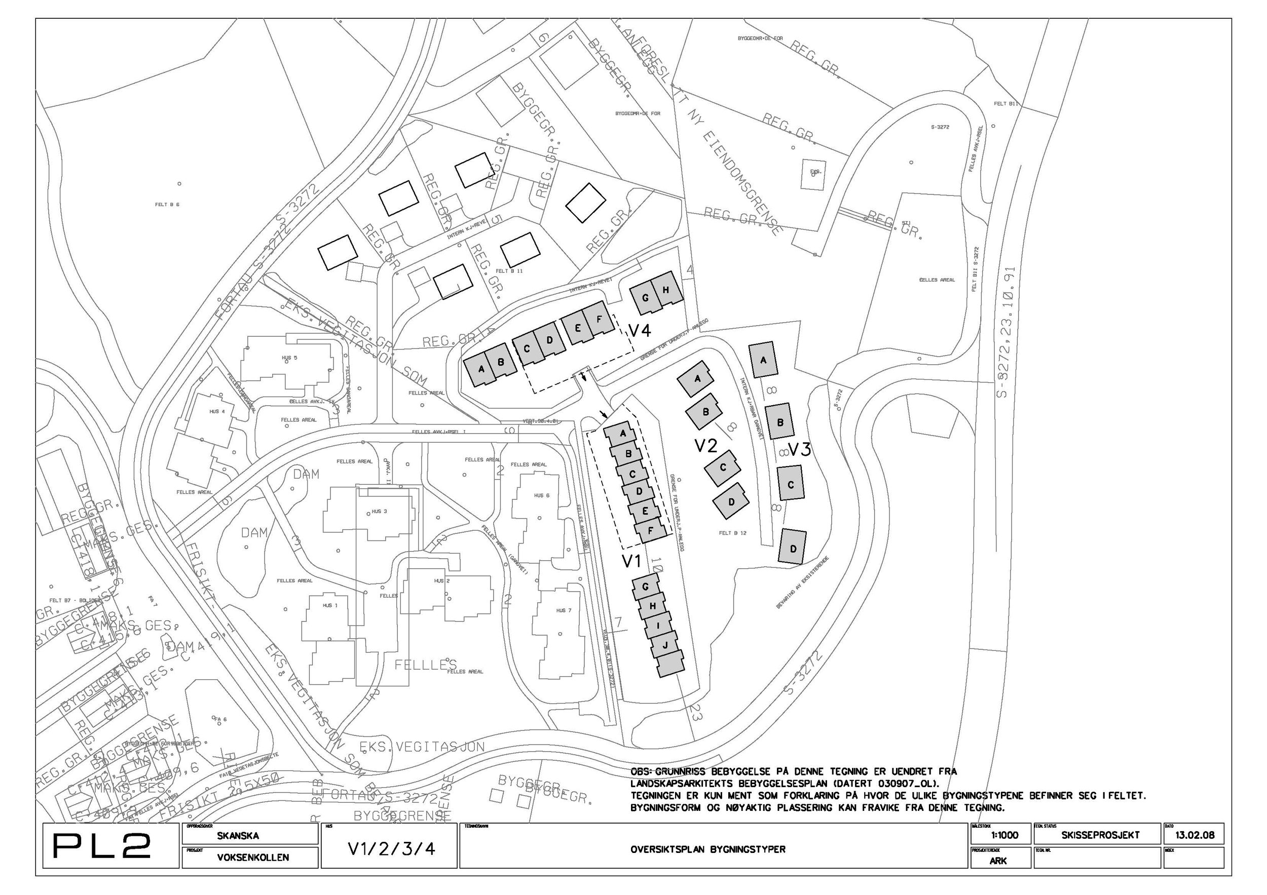
Skisseprosjekt 2007-08
Sted: Voksenkollen, Oslo
Oppdragsgiver: Skanska Bolig as

PML Arkitektur sto for prosjektering frem til skisseprosjekt 2008 for Skanska Bolig as.
Prosjektet ble senere realisert av Solon Eiendom as. Prosjektet som er realisert er med enkelte endringer basert på prosjekt fra skisseprosjektet.

Boligfeltet ligger på en fantastisk utsiktstomt mellom Holmenkollen og Frognerseteren, og består av rekkehus, eneboliger og tomannsboliger,
totalt 27 boligenheter.

Prosjektert i samarbeid med arkitekt Patrik Larsson

Forrige
Forrige

Fasaderenovering murgård, Oslo

Neste
Neste

Stasjonsgata 29/33, Hokksund